Na kříži v roce 33 n. l. visí zubožené tělo mrtvého 33letého muže. Z ran na zápěstí obou rukou a nohou způsobených velkými hřeby vytéká proud krve. Mezi pátým a šestým žebrem je rána způsobená probodnutím. Na těle Ježíše Krista jsou stopy bičování…
Večer po Kristově ukřižování přichází za Pilátem Pontským, který je římským prefektem provincie Judea v letech asi 26 – 36 n. l., bohatý Josef z Arimathie, tajný učedník nového náboženství. Žádá o vydání Kristova těla. Pilát svolí.
Josef vezme Ježíšovo tělo a ovíjí ho „v plátno čisté a vkládá je do hrobu svého nového, kterýž vytesal v skále: a přivalil veliký kámen ke dveřím hrobovým, a odešel.“
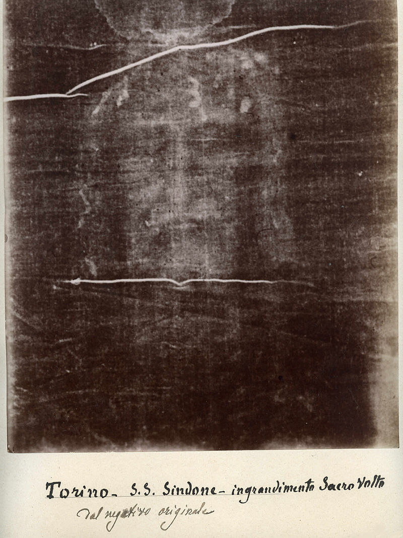
Po Kristově zmrtvýchvstání kupuje Josef od Piláta plátno, do kterého tělo předtím obalil. Překvapí ho, že na něm zůstal zvláštní obraz… C o něm říkají výzkumy ve 20. století?
Papež Jan Pavel II. (1920 – 2005), na církevní poměry revoluční osobnost, nechá během svého pontifikátu (1978 – 2005) relikvii v roce znovu 1988 zkoumat.
Říká, že „plátno není záležitostí víry a církev si nenárokuje kompetence, aby v této otázce učinila závazné rozhodnutí… Plátno zůstává výzvou pro naši inteligenci,“.
V roce 1998 ale při bohoslužbě v Turíně 24. května potvrzuje, že jeho pravosti věří:
„Když jsem vstupoval do dómu, který ještě nese rány zasazené rok tomu strašlivým požárem, setrval jsem v adoraci… před posvátným rubášem, drahocenným plátnem, které je nám nápomocno, abychom lépe pochopili tajemství…“

Pozor, vzorky bez dozoru!
Výzkumná zpráva z října roku 1988 je ovšem nekompromisní: z 95 % jde o padělek ze 13. století!
Čtyři laboratoře, z toho dvě v Arizoně, jedna v Oxfordu a jedna v Curychu stanovují datum vzniku do období 1238 (Arizona) – 1246 (Oxford) – 1346 (Curych) – 1480 (Arizona). Jenže při odběru tří vzorků 21. dubna 1988 se v Turíně dějí divné věci.
Všechno se sice fotografuje a filmuje na video, ale najednou se stane něco, co nikdo z 22 přítomných vědců nečekal.
Koordinátor celého výzkumu Dr. Michael Tite z Britského muzea a kardinál Anastasio Alberto Ballestrero (1913 – 1998) odcházejí do sousedního sálu. Teprve tam balí vzorky do hliníkové fólie a ukládají je do kovových pouzder.
Vědci netuší, co se v sousední místnosti děje a Tite i Ballestrero by klidně mohli vzorky vyměnit…

Hlavní podezřelý
Podezřelý je hlavně Michael Tite. Werner Bulst z Univerzity v Darmstadtu říká:
„Podezření musí vzbudit i to, že také na začátku provádění testu 8. května 1988 přijel D. Sox, jeden z hlavních odpůrců o otázce pravosti plátna z Londýna do Curychu… A od koho pocházejí ty kovové schránky?
Ze všech přítomných 21. dubna připadá v úvahu jen Tite, který měl také k dispozici technické předpoklady. Všichni ostatní s výjimkou kardinála, byli přece vyloučeni…“ Nemohl ale také kardinál vědět víc?
Vyskytla se totiž informace, že vzorky pocházejí z hábitu kanovníka sv. Ludvíka z Anjou, který je od roku 1296 uložený v bazilice sv. Maxima v jižní Francii. Oříškem jsou i radiokarbonové datovací metody.
V roce 1988 jsou sice už odzkoušené a mají velmi dobré výsledky, ale navzdory tomu existuje i řada případů, kdy úplně selhaly. Ovlivňuje je hlavně kontaminace vzorků různými nečistotami.
Prach, saze, pot, mastnota z dotyků rukou, bakterie a plísně, zkrátka jakékoli částice organického původu. To všechno spolehlivost analýzy snižuje. A s plátnem se v průběhu dějin rozhodně nezacházelo v rukavičkách…

O padělek nemáme zájem
Zpřístupnění plátna na tři měsíce od srpna do října roku 2000 bylo zatím nejdelší v dějinách. Téměř milion návštěvníků využívá příležitosti a stojí dlouhé fronty. Jenže dva roky předtím návštěvníků byly dva miliony a v roce 1978 dokonce rekordní tři miliony!
Čím to je, že spoustu lidí tak cenná relikvie přestává zajímat? Příčina je ve stále se rozšiřujících informacích o podrobném výzkumu z roku 1988, kdy je plátno prohlášeno za středověký padělek.
Postupně začínají pochybovat i ti, pro které bylo tvrzení, že jde o podvod, kacířským hnutím mysli. Barbora Fraleová, historička, která bádá ve vatikánských archívech, v roce 2009 tvrdí, že plátno je pravé.
„Snažila jsem se být objektivní a nechat náboženské otázky stranou. To, co jsem studovala, byl starověký dokument, který dokládá popravu muže v určitém čase a na určitém místě.“ Nápisy na látce v řečtině, aramejštině a latině mluví za své.
Podařilo se je vykreslit pomocí počítače. V místech, kde je na plátně otištěna Kristova tvář, je podle ní nápis „Ježíš Nazarejec.“ Proto podle ní relikvie nemůže pocházet ze středověku. Tehdy by rozhodně neoznačili Ježíše za Nazarejce bez odkazu na jeho božství.

Plátno si udělejte doma
Poslední slovo teď má zřejmě skupina italských vědců pod vedením Luigiho Garlaschelliho, profesora chemie na univerzitě v Pavii. Ta dokončila v roce 2009 zatím nejpodrobnější analýzu plátna.
Výzkum potvrzuje, že jde o dílo pocházející z 13. – 14. století. Tým se pokusil vytvořit podobné plátno pomocí dostupné středověké techniky. Zdání stáří dosáhli vědci zahřátím v peci a následným potíráním vodou.
Do plátna potom otiskli lidskou tvář a zjistili, že výsledek je stejný jako na turínském plátně. Podle Garlaschelliho „Někteří lidé stále tvrdí, že plátno nese znaky díla, které nemůže být lidského původu.
Náš výzkum ukázal, že může, a to s použitím levného materiálu a poměrně nenáročnou technikou.“