Domů     Není to konspirace? Pravost turínského plátna nevychází příliš vítězně!
Není to konspirace? Pravost turínského plátna nevychází příliš vítězně!
14.8.2019

Málokterá relikvie vyvolává takové vášně jako tzv. turínské plátno. Zatímco konzervativní katolíci jsou do hloubi duše přesvědčeni o jeho pravosti, ateisté i mnozí vyznavači jiných náboženství se jen uchechtávají.

Je pochopitelné, že tato problematika zajímá i badatele. K čemu tedy věda dospěla?

Nu, asi nepřekvapivě se kloní k tezi, že turínské plátno je podvrhem. Vědci samozřejmě nemohou jen tak bez okolků vyjádřit svůj názor, musejí jej mít důkladně podložený. A z dosavadních výzkumů pravost rubáše nevychází příliš vítězně.

Podle některých konspiračních teoretiků vědci nicméně nechtějí přiznat, že plátno je pravé, aby se nezačal zvyšovat počet věřících. Výzkumy jsou prý proto zfalšované. Není ale taková představa absurdní? Prokázat tuto konspiraci se dosud nikomu nepodařilo.

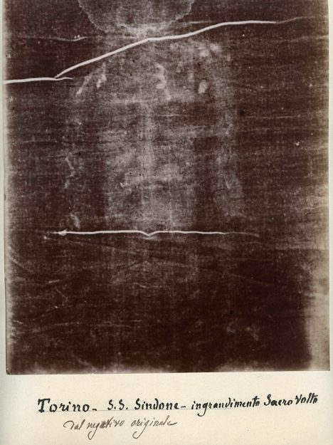
Konzervativní katolíci tvrdí, že turínské plátno je relikvií, ve které spočinulo ukřižované tělo Ježíše Krista. To má dokládat především otisk mužské postavy, jenž je na plátně patrný.

Samotné plátno je vyrobeno ze lnu a malé příměsi bavlny, jeho délka dosahuje téměř 4,5 metru a váží přibližně 1,5 kg. Kromě Kristovy nezřetelně otištěné tváře na něm měla zanechat stopy i jeho krev z rukou, kterými při popravě projely hřeby.

Tělo má nést stopy po mučení i ukřižování, tak jak je popsala evangelia. Samotná katolická církev je však v hodnocení relikvie opatrná. Podle ní se a priori nemusí jednat o svědka Ježíšova skonu.

Plátno má však podle církve vysokou symbolickou hodnotu. V hledáčku vědy je plátno od konce 70. let 20. století. V roce 1988 se na něj zaměřili badatelé z Oxfordu, Tusconu a Curychu.

Na základě radiokarbonové metody založené na poklesu počtu atomů radioaktivního izotopu uhlíku, došli k závěru, že plátno pochází až z doby středověku. Avšak tento výzkum byl po několika letech zpochybněn.

Podle Raymonda Rogerse z Los Alamos National Laboratory i týmu ze Spolkového vysokého učení technického v Curychu byla totiž zkoumána záplata, kterou bylo plátno během středověku vyspraveno.

Středisko v Los Alamos odhadlo stáří plátna dokonce na 3 000 let, tedy celé jedno tisíciletí před Kristovým narozením. Většina dosavadních výzkumů však zrod plátna vidí ve třináctém století. Velkou záhadou je otisk tváře na plátně.

V roce 1898, když bylo poprvé fotografováno, se při vyvolávání negativu zjevil udivenému autorovi snímku Secundo Piovi mužský obličej. To bylo po dlouhá léta vnímáno jako důkaz, že Kristus byl do plátna skutečně zabalen.

Před třemi lety výzkumníci z turínské polytechnické univerzity přišli s hypotézou, že tvář do plátna byla obtisknuta při zemětřesení o síle 8,2, které postihlo Blízký východ v roce 33.

Tak silné otřesy půdy skrze rázové vlny totiž mohou vyvolat proudy neutronového záření. Síla neutronů je přitom taková, že vyvolat otisk obličeje pro ně není velký problém. To však zdaleka neznamená, že šlo o Kristovu tvář.

K tomu by badatelé potřebovali jeho DNA. Mimochodem, ohledně Ježíšovy DNA existuje také řada sporů.

Americký katolický kněz Vincent Serpa tvrdí, že Kristus vzhledem ke svému původu měl pouze matčinu DNA. Pokud bychom tuto tezi vzali do důsledků, znamenalo by to, že Ježíš byl žena, protože mu scházel mužský chromozom Y. V neposlední řadě je třeba vzít v úvahu i možnost, že onen záhadný obličej kdosi na plátno prostě nakreslil.

To potvrzuje i analýza barev, kterou provedl americký chemik Walter McCrone.

Že do plátna byl skutečně někdo zabalen, se zdá celkem jisté.

Otázkou je kdo, zda skutečně Ježíš, nebo si jen kdosi pohrál, aby ještě více vynikl nešťastný Kristův příběh? Badatelé z liverpoolské univerzity Johna Moora naznačili, že ona tajemná osoba mohla být skutečně ukřižována.

Jenže nikoliv na konstrukci ve tvaru T, jak praví Bible, nýbrž na konstrukci ve tvaru Y. Alespoň to naznačují krvavé stopy, které na plátně zůstaly.

Zatímco „téčko“ se pro tento brutální způsob popravy využívalo v biblických dobách, kříž ve tvaru ypsilon byl typický pro středověk. „Šlo o velmi bolestivou polohu, která navíc velmi ztěžovala dýchání.

Někdo ukřižovaný tímto způsobem zřejmě skonal udušením,“ podotkl jeden z výzkumníků Matteo Borrini. Zajímavým momentem v určování pravosti plátna je i krevní skupina, která v něm byla nalezena.

Jde totiž o vzácnou skupinu AB. Vznikla promísením Kavkazanů s krevní skupinou A a Mongolů s krevní skupinou B. To znamená, že v době Kristova života ještě neexistovala a lze ji vystopovat teprve od 8. století. Tento fakt spojitost plátna s Kristem vylučuje zcela.

Foto: wikipedia, Church Militant, RF-HOBBY
Související články
Záhady a tajemství
Tajemství rosekruciánů: Existují ještě?
Tajná židovská nauka kabala a alchymie, ovšem ne ta, při které se budete marně snažit vyrobit hmatatelný elixír nesmrtelnosti a zlato, ale alchymie coby duchovní věda. To je dobrý základ na polévku další z u nás působících společností. Přisypte trochu okultismu sesbíraného po celém světě, zasypte křesťanskou mystikou a zakapejte řádně uleželým hermetismem. Alespoň z dob helénistické […]
Záhady a tajemství
Tajemná Houska: Je tu brána do pekel?
V letmé záři luny vklouzne do zemské prolákliny. Je srpnová noc roku 1836, chvíli po půlnoci. Oním muže je nadšený cestovatel po českých zříceninách, Karel Hynek Mácha. Vzápětí zpozoruje výjevy k nepochopení: Současnost!   Podle pověstí můžete najít ve skalní průrvě pod hradní kaplí Housky bránu do pekel! Už to udělá z hradu přestavěného na zámek ležící v […]
Záhady a tajemství
Zabil Tycha Braheho jed, nebo jeho vlastní zdvořilost?
Jedna z největších hvězd renesanční vědy náhle umírá po podivné hostině v Praze. Dánský astronom Tycho Brahe prý několik hodin nevstane od stolu, aby neurazil svého hostitele. Krátce nato přicházejí nesnesitelné bolesti a po jedenácti dnech agonie vědec umírá. Jenže kolem jeho smrti se po staletí šíří temné spekulace o otravě, tajných alchymistických pokusech i […]
Záhady a tajemství
Tajemství stromů: 5 symbolů košaté posvátnosti
Olše mohou být stromy i keře a vědce zarážejí úžasným obsahem látek, které bojují proti rakovině. A to není vše, některé druhy dokážou chránit játra a zkoumá se také pozitivní vliv v boji proti HIV. Olší si ale váží již naši prapředci. Jde o první stromy, které osidlují půdu po ustupujících ledovcích. Nevadí jim ani […]
reklama
věda a technika
Zdánlivě nudný macarát: Žije v naprosté tmě a jíst nemusí i několik let!
Dlouhé týdny prší z nebe nekonečné provazy deště. Nasycená půda už odmítá spolupracovat, a tak se lidem naskytne pohled na zvláštního tvora. Někteří propadají panice, protože se dovtípí, že se jedná o dračí mládě. Endemit čili druh, který se objevuje jen na jednom místě v celém širém světě. A do této škatulky spadá právě i macarát jeskynní. […]
Velrybí hity oceánů: Keporkaci mění své písně jako popové hvězdy
Když se řekne koncert pod širým nebem, většina lidí si představí festival a rozlévané pivo. Keporkaci ale pořádají vlastní hudební show hluboko pod hladinou oceánu, bez vstupenek, zato s repertoárem, který se neustále mění. Samci plejtváka dlouhoploutvého totiž zpívají složité melodie, které se vyvíjejí podobně jako lidské hudební trendy. Jednu sezonu „frčí“ podmořský hit, za […]
Isaac Newton a tajemství alchymie. Génius fyziky tráví roky hledáním skrytých sil světa
Když se řekne Isaac Newton, většina lidí si představí gravitaci, padající jablko a základy moderní fyziky. Jenže slavný vědec skrývá ještě jednu tvář. Po nocích zavírá dveře své laboratoře, taví kovy, zapisuje šifrované poznámky a studuje staré hermetické texty. Alchymii věnuje obrovské množství času, možná stejně nebo dokonce více než fyzice. Žije v době, kdy […]
Horský kozorožec: Rozený akrobat, který se nebojí pádu
Úzká skalní římsa, pod ní stovky metrů prázdna. Tam, kde by člověk neudělal ani krok, stojí kozorožec naprosto jistě. Bez zaváhání se pohybuje po strmých skalách a balancuje na výstupcích, které jsou sotva patrné. Jak je možné, že se nikdy nesplete? Pro svou jistotu má řadu dobrých důvodů! Kozorožci patří k nejpozoruhodnějším obyvatelům horských oblastí. […]
lifestyle
Od hlučné obludy k tichému pomocníkovi. Bez vysavače nedáme ani ránu
Dnes ho schováváme do poličky ve skříni. Stačí zmáčknout tlačítko a během pár minut zmizí drobky, prach i chlupy domácích mazlíčků. První vysavače ale připomínají spíš parní stroje než elegantní domácí spotřebiče. Jsou obrovské, hlučné a některé se dokonce nevejdou do domu. Cesta od rachotícího monstra k tichému robotovi trvá více než sto let. Na […]
Cornflakes jako zbraň proti hříchu: Nudné vločky změnily snídaně po celém světě
Křupou v miskách po celém světě, děti si je sypou do mléka po hrstech a reklamy z nich dělají symbol pohodových rán. Jenže původ Cornflakes je mnohem podivnější, než se zdá. Za jejich vznikem nestojí chuť na sladkou snídani, ale strach z lidských vášní. Americký lékař John Harvey Kellogg totiž věří, že správné jídlo dokáže […]
Jak se zrodil hřeben: Od kostěného nástroje lovců až po symbol krásy a moci
Dnes leží v každé koupelně a většina lidí mu nevěnuje téměř žádnou pozornost. Jenže hřeben patří mezi nejstarší předměty, které člověk pravidelně používá už tisíce let. Jeho příběh začíná dávno před vznikem prvních měst, v době lovců mamutů a pazourkových nožů. A překvapivě nejde jen o obyčejnou pomůcku na vlasy. Hřeben se během dějin mění […]
Batoh: Jak lidstvo objevilo nejvěrnějšího a stylového parťáka na cesty
Dnes do něj nacpeme notebook, mikinu, powerbanku i svačinu na celý den. Batoh taháme do hor, do školy, na letiště i na festivaly. Jenže tenhle nenápadný vynález má překvapivě dobrodružnou historii. Od pravěkých lovců přes vojáky až po hipstery v kavárnách, batoh se mění spolu s lidmi a jejich způsobem cestování. Občas je jeho vývoj […]
Nenechte si ujít další zajímavé články
Dulce: Dobrota, které neodoláte
panidomu.cz
Dulce: Dobrota, které neodoláte
Ta dobrota se jmenuje dulce de leche a možná už jste ji objevili v obchodech. Ale nepochybujte o tom, že doma připravená bude ještě lepší. Název je španělský a znamená jednoduše „mléčná sladkost“. Původ ovšem není úplně jednoznačný, o autorství této receptury se pře hned několik latinskoamerických zemí a k tomu Francie, kde se traduje,
Ferdinand I. zatrhl šizení na tržištích
historyplus.cz
Ferdinand I. zatrhl šizení na tržištích
„Prvotřídní kvalita, dovoz z Itálie,“ přesvědčuje kupec s látkami bohatou pražskou měšťanku. Žena pečlivě osahává štůček mušelínu. „Vezmu si pět loket,“ prohlásí. Kupec rychle naměří požadovanou délku. Pořádný kus mu přitom zůstane za prsty…   „Na šaty ho bude málo, milostpaní. Stačí jenom na sukni,“ zhodnotí švadlena množství růžového mušelínu. „Ošidili vás, podívejte.“ Vezme do ruky dřevěnou
Kouzlení s vodou z potoků a studánek
nejsemsama.cz
Kouzlení s vodou z potoků a studánek
Voda má v magii zvláštní místo. Má jedinečné vlastnosti, které pro vás mohou být nejen zdrojem osvěžení, ale i duchovní síly a léčení. Voda z potoků a studánek má moc přinést do vašeho života pozitivní změny a obnovit vaši energii. Využitím těchto přírodních zdrojů v magii můžete obohatit své rituály a přinést do svého života větší harmonii a klid. Je důležité
Ten můj chlap je prostě báječný
skutecnepribehy.cz
Ten můj chlap je prostě báječný
Jsem holka Štěstěny, tvrdila moje máma, když jsem doma představila Mirka. Mohla na něm oči nechat. To nadšení ji neopustilo nikdy. Myslím, že mi trochu záviděla, ale nikdy jsem jí to neřekla. Tátu měla ráda, ale co si pamatuji, tak jsme s Mirkem byli zamilovaní mnohem víc. Jsme spolu moc rádi Tehdy byla jiná doba, když
Září Svobodová díky nové lásce?
nasehvezdy.cz
Září Svobodová díky nové lásce?
Přestože jí osud připravil až příliš kruté momenty, nikdy nepřestala věřit, že bude znovu šťastná. Sympatická herečka ze seriálu Ulice Ilona Svobodová (64) se má už několik týdnů potkávat se stejně
Hříbková omáčka
tisicereceptu.cz
Hříbková omáčka
Královskou houbou českých lesů je pravý hřib. Suroviny 400 g houby 1 větší cibule 2 lžíce másla 200 ml šlehačky 100 ml zakysané smetana 1 bobkový list 5 kuliček nového koření petrželka ne
Krvavé maltské podzemí a tajemná Petra
enigmaplus.cz
Krvavé maltské podzemí a tajemná Petra
V oblasti Paola na předměstí hlavního města La Valetta na Maltě se v roce 1902 dostala skupina dělníků do problémů. S několika se při rozbíjení skal propadla zem. „Dostaňte nás odsud, něco tady je,“ z
Historické Boskovice: Procházka od hradu k zámku
epochanacestach.cz
Historické Boskovice: Procházka od hradu k zámku
Návštěvou jednoho města si snadno zajistíme program třeba na celý víkend. Boskovice totiž nabízejí hned dvě významné architektonické památky, vzdálené od sebe jen půl kilometru. A tak se vydejme za hradem i za zámkem do krásné jihomoravské krajiny. Trhová osada Boskovice na okraji Drahanské vrchoviny vznikla někdy ve13. století, a už v roce 1313 kronikáři zaznamenali
Pátrání po nacistickém zlatě: Je ukryté pod hladinou německého jezera?
epochalnisvet.cz
Pátrání po nacistickém zlatě: Je ukryté pod hladinou německého jezera?
Nad vodou se převalují chuchvalce mlhy, ze kterých se náhle vynoří siluety několika člunů. Mají velmi podivnou posádku. Dobře živení, po zuby ozbrojení muži v černých uniformách a na straně druhé: zubožená těla oblečená v chatrných vězeňských hadrech. Co tato přízračná scéna znamená?   Je jaro roku 1945, druhá světová válka se chýlí ke konci. Jezero Stolpsee
Stinná stránka rozvinutějších mozků: rychleji stárnou
21stoleti.cz
Stinná stránka rozvinutějších mozků: rychleji stárnou
Lidský mozek, více než jakýkoliv jiný orgán, odlišuje náš druh od ostatních. Během posledních přibližně sedmi milionů let se jeho velikost a složitost výrazně zvýšila, což nám umožnilo používat jazyk,
&Beyond: Nezapomenutelné safari napříč východní Afrikou pro romantiky i dobrodruhy
iluxus.cz
&Beyond: Nezapomenutelné safari napříč východní Afrikou pro romantiky i dobrodruhy
&Beyond, světově uznávaný lídr v oblasti luxusní ekoturistiky, představuje své rozmanité portfolio safari lodgů a kempů ve východní Africe. Jako lídr v oblasti zodpovědného cestovního ruchu organi
Dechberoucí „katedrála“ v oblacích
rezidenceonline.cz
Dechberoucí „katedrála“ v oblacích
Třípodlažní penthouse na vrcholu nejvyššího věžáku severně od 72. ulice v New Yorku „patřil“ jednomu z protagonistů populárního seriálu, mapujícího život milionářské rodiny Royových. Jakkoliv jsou jejich osudy fiktivní, nemovitosti, v nichž „žijí“, jsou velmi reálné. Ohromující luxusní byt s pěti ložnicemi, čtyřmi koupelnami a výhledem na Husdon Yards je přitom jenom jednou z nemovitostí
Provozovatel: RF HOBBY, s. r. o., Bohdalecká 6/1420, 101 00 Praha 10, IČO: 26155672, tel.: 420 281 090 611, e-mail: sekretariat@rf-hobby.cz